Τα ακραία καιρικά φαινόμενα του αποκαλόκαιρου θέτουν επιτακτικά το οικολογικό ζήτημα στην παγκόσμια επικαιρότητα
Του Νίκου Ντάσιου (από την Ρήξη φ. 136)
Αναμφίβολα αυτό το καλοκαίρι τα καιρικά φαινόμενα έγιναν ακόμα πιο ακραία. Από τον τυφώνα Χάρβεϊ στο Χιούστον και την Ίρμα στη Καραϊβική και Φλόριντα, μέχρι τις τροπικές καταιγίδες στο Νεπάλ, στην Ινδία, στο Μπαγκλαντές και στη Σιέρα Λεόνε, από τις πυρκαγιές στον ευρωπαϊκό Νότο μέχρι τις ασυνήθιστα υψηλές θερμοκρασίες του Αυγούστου στα Βαλκάνια και στην Αν. Ευρώπη, το ζήτημα της απορρύθμισης του κλίματος καθίσταται το κεντρικότερο πλανητικό ζήτημα του 21ου αιώνα.
Ήδη από το 2014 η Διακυβερνητική Επιτροπή για την Αλλαγή του Κλίματος (IPCC), με σχετική έκθεσή της, είχε αποφανθεί περί της όξυνσης των καιρικών φαινομένων προειδοποιώντας για καταστροφικές πλημμύρες και έντονες ξηρασίες.
Μέχρι τις 24 Αυγούστου επηρεάστηκαν περί τα 41 εκατ. άνθρωποι από τα ακραία καιρικά φαινόμενα στη Νότια Ασία, ενώ οι νεκροί έφτασαν τους 900, παρότι τα δυτικά ΜΜΕ σκανδαλωδώς επικεντρώνονται αποκλειστικά στις επιπτώσεις τους στον δυτικό κόσμο, όπως για παράδειγμα στους 44 νεκρούς στο Τέξας και στους 30 των νησιών της Καραϊβικής.
Χαρακτηριστικά, το Μπαγκλαντές αντιμετωπίζει τεράστιο επισιτιστικό πρόβλημα λόγω της καταστροφής της μισής σχεδόν έκτασης καλλιέργειας ρυζιού, ενώ επίκειται επιδημία χολέρας λόγω έλλειψης νερού, με κύρια θύματα τα παιδιά, τη στιγμή που δέχεται κύμα μεταναστών μουσουλμάνων λόγω των συγκρούσεών τους με τις αρχές στη γειτονική Μιανμάρ. Τα δε μεταναστευτικά ρεύματα προς τη Δύση είναι σε μεγάλο βαθμό συνδεδεμένα με τις εκτεταμένες οικολογικές καταστροφές στον «Παγκόσμιο Νότο» αφού υπολογίζεται ότι περί τα 150 εκατ. άνθρωποι θα αναγκαστούν να μεταναστεύσουν μόνιμα λόγω φυσικών καταστροφών μέχρι το 2050!
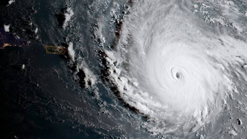
Ο Χάρβεϊ ξεκίνησε ως τροπική καταιγίδα για να γίνει τυφώνας κινούμενος προς τα αφύσικα ζεστά νερά του Κόλπου του Μεξικού. Αντίστοιχα η Ίρμα –λίγες μόλις μέρες μετά– έσπασε το ρεκόρ ενεργειακής αναβάθμισης σε κατηγορία 5, με αύξηση της ωριαίας ταχύτητας στα 300 k/h σε διάρκεια μόλις είκοσι τεσσάρων ωρών, πλησιάζοντας τις ακτές της Φλόριντας, για να υποβαθμιστεί εν τέλει σε κατηγορία 2. Περί τα 6,5 εκατ. κατοίκων εκκένωσαν τα σπίτια τους αναβιώνοντας μνήμες του 2005, όταν ο τυφώνας Κατρίνα, ξεκινώντας από μια καταιγίδα κατηγορίας 1 αναβαθμίστηκε σε τυφώνα προκαλώντας ζημίες 140 δισ. δολαρίων! Αντίστοιχα, μόλις σε ένα μήνα οι καταστροφές που προκάλεσαν ο Χάρβεϊ και η Ίρμα ξεπέρασαν τα 300 δισ. δολάρια, σύμφωνα με τη μετεωρολογική υπηρεσία Accuweather, ποσό ανάλογο του ελληνικού χρέους.
Η «Εθνική Υπηρεσία Ωκεανών και Ατμόσφαιρας» (NOAA) με σχετικό γράφημα (Διάγραμμα 1) συνδέει γραμμικά την ένταση των τυφώνων με τη μέση θερμοκρασία της ατμόσφαιρας και των ωκεανών. Σύμφωνα με μετρήσεις των δορυφόρων Meteosat (MTSAT), η μέση θερμοκρασία της περιόδου στον Κόλπο του Μεξικού και στη θάλασσα της Καραϊβικής υπολογίζεται στους 30C. Τα θερμότερα νερά, σε συνδυασμό με άλλους κλιματικούς παράγοντες, όπως η ένταση της κυκλοφορίας των αφρικανικών μουσώνων προς τα δυτικά, αυξάνουν την περιεκτικότητα των καταιγίδων σε υγρασία, ενώ ο θερμότερος αέρας διατηρεί για περισσότερο χρονικό διάστημα αυτή την υγρασία, με αποτέλεσμα τις έντονες πλημμύρες την άνοιξη και το καλοκαίρι και με μονιμότερο αποτέλεσμα την άνοδο της στάθμης της θάλασσας, που για τη συγκεκριμένη περιοχή υπολογίζεται στα 30 cm σε περίοδο μόλις 50 χρόνων.
Παρ’ όλα αυτά, o επικεφαλής της Υπηρεσίας Περιβαλλοντικής Προστασίας Σκοτ Πράτιν απέρριψε με δήλωση του την οποιαδήποτε σχέση του τυφώνα με την κλιματική αλλαγή, ενώ ο Τράμπ με πρόσφατο διάταγμα περιόρισε τις δαπάνες των ομοσπονδιακών Κυβερνήσεων που αφορούν σε έργα υποδομής για την προστασία από πλημμυρικά φαινόμενα!!
Επιχειρώντας οι επιστήμονες της Εθνικού Κέντρου Τυφώνων (NHC) να ερμηνεύσουν την αύξηση της θερμοκρασίας των θαλασσών στον τροπικό Ατλαντικό και την Καραϊβική, καταλήγουν σε ένα ακόμα πιο ανησυχητικό φαινόμενο: την επιβράδυνση του ρεύματος του Κόλπου του Μεξικού. Το ρεύμα μεταφέρει θερμές μάζες ζεστού νερού από τον κόλπο προς τις ακτές της βόρειοδυτικής Ευρώπης για να βυθιστεί στον παγωμένο βυθό της Αρκτικής σαν μια τεράστια αντλία, εγκλωβίζοντας το 50% του διοξειδίου του άνθρακα (CO2) που έχει απορροφήσει ο Ατλαντικός Ωκεανός. Η τήξη των πάγων στους πόλους λόγω της αύξησης της μέσης θερμοκρασίας του πλανήτη, μεταξύ άλλων, επιβραδύνει τη διαδικασία βύθισης του παγωμένου νερού, αναστέλλοντας την κίνηση του θαλάσσιου ρεύματος. Αποτέλεσμα: ψυχρότεροι χειμώνες στη Δ. Ευρώπη και στην Αγγλία (ίσως και κατά 5-7 C), θερμότερα νερά στον τροπικό Ατλαντικό, που θα προκαλούν όλο και ισχυρότερους τυφώνες και, το χειρότερο, αδυναμία εγκλωβισμού του CO2 των ωκεανών, που θα επιτείνει δραματικά την κλιματική αλλαγή στον αιώνα που διανύουμε.
Από το 1995 οι ηγέτες του πλανήτη συναντήθηκαν 22 φορές με θέμα την αντιμετώπιση της κλιματικής αλλαγής. Παρ’ όλα αυτά, οι εκπομπές των αερίων του θερμοκηπίου αυξήθηκαν από 6.000 σε 10.000 εκατ. μετρικούς τόνους. Με αυτή την τάση, σύμφωνα με πρόσφατο δημοσίευμα των Νιου Γιορκ Τάιμς, η μέση θερμοκρασιακή αύξηση του πλανήτη τον 21ο αιώνα θα ανέλθει από 3,6C έως 4,1C! Να σημειωθεί ότι η συμφωνία του Παρισιού που πρόσφατα αμφισβήτησε ο Τραμπ, απαιτούσε τη μείωση κατά 2 προκειμένου ν’ αντιμετωπιστεί η πλήρης απορρύθμιση του κλίματος τα επόμενα χρόνια.
Στα 1992 στη συνδιάσκεψη για το κλίμα στο Ρίο ντε Τζανέιρο, το Κίνημα για την Κλιματική Δικαιοσύνη εισήγαγε στον διεθνή προβληματισμό την έννοια του «Οικολογικού Χρέους», προκειμένου ν’ αποκατασταθούν τα οικοσυστήματα που είναι απαραίτητα για τη ρύθμιση του παγκόσμιου κλίματος. Η προβληματική αυτή συνδυάστηκε με τους αντιαποικιακούς αγώνες των ιθαγενών για 500 χρόνια, αποτέλεσε δε την απάντηση των αποικιοκρατούμενων στο οικονομικό χρέος και στην εξάρτηση από τον Βορρά με βασικούς πυλώνες το ΔΝΤ και την Παγκόσμια Τράπεζα. Το Οικολογικό Χρέος κατά την Πολιτική Οικολογία είναι το αποτέλεσμα σωρευτικών άνισων ανταλλαγών μεταξύ ροών εμπορευμάτων, αποβλήτων, πρώτων υλών και φυσικών πόρων στις οικονομικές σχέσεις αναπτυγμένων και αναπτυσσόμενων χωρών (R. Warlenius, Human Ecology, Lund University).
Μακρινός απόηχος της πολιτικής ριζοσπαστικοποίησης εκείνης της περιόδου είναι επιμέρους κινήματα, όπως αυτό της δράσης Ende Gëlande, με αποκλεισμούς λιγνιτικών μονάδων στην Κολωνία, που επαναλαμβάνεται ετησίως τα τελευταία 3 χρόνια, θέτοντας ως πρόταγμα την ριζική αλλαγή του ενεργειακού και παραγωγικού μοντέλου των αναπτυγμένων χωρών. Τα κινήματα αυτά οφείλουν να θέσουν εκ νέου στην προβληματική τους τις καταστροφικές πολιτικές των μεγάλων εταιρειών και των ενεργειακών κολοσσών στις αποικιοκρατούμενες χώρες (βλέπε μνημόνιο συνεργασίας RWE-ΔΕΗ) ως ένα από τα προαπαιτούμενα για την αντιμετώπιση των μεγάλων οικολογικών προκλήσεων του αιώνα μας.















